Monster Storm Roars
Friday 23 October 2015 Close to the strongest hurricane in history is about to unleash "catastrophic" damage to Mexico, unleashing huge storm surges, 50ft storm surf and torrential rain over the next 12 hours, reports Spike.

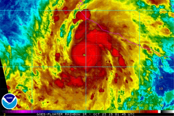
Super Hurricane Patricia, a Category 5 storm with central pressure of 880 millibars "is the lowest for any tropical cyclone globally for over 30 years", said Britain's weather service, the Met Office, and only 10 mb higher than the most powerful low pressure storm in history, Typhoon Tip in 1979, which reached 870millibars of central pressure.
According to a Miami-based meteorological center a "potentially catastrophic landfall" would take place over the next 12 hours. According to reports in the US, Mexican authorities have warned residents to brace for 321km/h winds and massive rainfall, with millions of people possibly effected.
Patricia's strength was similar to Typhoon Haiyan, which hit the Philippines in 2013, according to the World Meteorological Organisation. More than 6,000 people were killed, mostly from massive storm surges. Haiyan had 310km/h sustained winds when it made landfall. Typhoon Tip - officially the biggest storm ever recorded - had similar winds and a slightly lower pressure reading of 870 millibars in 1979.

According to CNN, Patricia has "potential to cause massive death and destruction over a large swath of the Mexican Pacific coast, including the tourist hot spots of Puerto Vallarta and Acapulco".
The article said that according to a Friday mornign forecast discussion Patricia was "the strongest hurricane on record in the National Hurricane Center's area of responsibility (AOR) which includes the Atlantic and the eastern North Pacific basins."
Either way, Patricia looks more powerful than Hurricane Andrew in 1992, and Hurrican Katrina in 2005, which caused massive destruction and loss of life in Mississippi.
See the live animation graphic here
http://earth.nullschool.net/#current/wind/surface/level/orthographic=-105.04,20.86,1916

